Trao đổi - Phản biện » Tầm nhìn
Nhiều bao biện, thanh minh về dự báo bão Sơn Tinh
(21:33:34 PM 30/10/2012)Loay hoay dự báo điểm bão đổ bộ là vô nghĩa
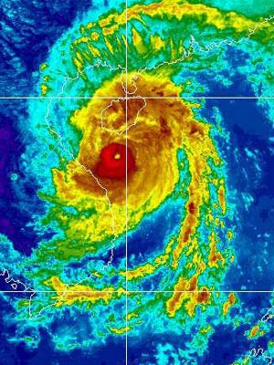
| Ảnh rađa vệ tinh cho thấy lúc 13g trưa ngày 27.10 cho thấy tâm bão đã xuất hiện rất nét cho biết sức gió đã trên cấp 12. Đây là lúc cần ra báo động đỏ cho toàn vịnh Bắc bộ thế nhưng dự báo của TTDBKTTVTƯ vẫn cứ còn do dự điểm đổ bộ nào! |
Mở đầu buổi họp báo, ông Bùi Minh Tăng, giám đốc Trung tâm Dự báo Khí tượng thủy văn Trung ương, nói quy luật bất thường của bão Sơn Tinh, thanh minh rằng: “Đặc điểm của bão ở Việt Nam là từ mùa hè tới tháng 8, 9, bão đổ bộ vào miền Bắc. Từ tháng 10 trở đi, xu hướng bão lệch dần về miền Trung và tháng 11 lệch dần về miền Nam. Những cơn bão vào miền Bắc thường xuất phát ở vĩ độ cao, ngang với miền Bắc hoặc thấp là từ vĩ độ 15 trở lên, đi theo hướng Tây Bắc, xuyên qua đảo Hải Nam (Trung Quốc) vào miền Bắc. Trong khi đó, bão Sơn Tinh hình thành ở vĩ độ rất thấp, 8-9 vĩ độ bắc thuộc miền nam Philippines. Ban đầu bão đi theo hướng Tây Bắc rồi lệch Bắc, chạy dọc vùng ven biển từ Quảng Ngãi lên tới tận Quảng Ninh...”
Chúng tôi xin thưa, dự báo bão cũng như thời tiết nói chung là luôn bất thường, người dân không cần biết nó bất thường vì sao, chỉ muốn biết, cũng như hồi Chanchu, tại sao thế giới đều dự báo được và dự báo đúng được đường đi cũng như cấp bão từ ngày 25 nhưng dự báo của Việt Nam đến chiều 27 vẫn cứ lừng khừng không thông báo gì rõ ràng? Trong khi đó ở ảnh mây vệ tinh trưa, 12g, ngày 27 đã xuất hiện rõ tâm bão, tức sức gió đã đạt cấp cao nhất của Việt Nam là cấp 12.
Ta thấy lúc này, cho dù bão đi theo hướng nào đi nữa thì nó cũng xứng đáng được phát tin báo động cấp 1, cấp cao nhất cho toàn vịnh Bắc bộ. Nếu lệch về phía tây một chút thôi thì cả vệt ven biển từ Quảng Bình đến Hải Phòng sẽ bị cày xới ở cấp gió 12. Vẫn rất may mắn là tâm bão ở xa bờ. Thế nhưng các bản tin phát đi từ TTDBKTTVTƯ lúc này vẫn cứ lừng khừng, không sắc nét."
Ở trường hợp bão Sơn Tinh này thì khái niệm bão vào bờ, bão đổ bộ sẽ không có giá trị, đơn giản vì bão đi dọc bờ nên chuyện loay hoay dự báo điểm bão đổ bộ là vô nghĩa. Thế nhưng toàn bộ máy của TTDBKTTVTƯ vẫn cứ nỗ lực cho điều này, bão vào Vinh, Thanh Hóa hay Nam Định, Hải Phòng? Tin về buổi họp báo cho biết: “Đến chiều tối ngày 26.10, Trung tâm dự báo khí tượng thủy văn trung ương vẫn chưa thể xác định tâm bão đổ bộ. Đến trưa chiều ngày 28.10, thời điểm cụ thể bão đổ bộ cũng chưa thể dự đoán được”. Chúng tôi không hiểu TT đã nỗ lực cho việc tìm tâm đổ bộ làm gì khi bão ngay từ ngày 26 đã có dấu hiệu và được dự báo thế giới dự báo là sẽ đi dọc bờ. Điều đó đáng báo động và quan trọng hơn điểm đổ bộ chứ?
| Dự báo của TTDBKTTVTƯ lúc 16g ngày 27 tương đối đúng đường đi của bão số 8 nhưng không đủ cảnh báo về sức gió và đánh thức được cảnh giác của người dân khu vực ảnh hưởng của bão số 8 là toàn vịnh Bắc bộ. |
Kể cả Mỹ với Nhật cũng không dự báo được?!
Về cường độ bão, ông Tăng nói : “Không chỉ lướt dọc bờ biển, cường độ bão cũng rất phức tạp. Từ ngày 23.10, trung tâm khí tượng đã cảnh báo khi vào biển Đông bão sẽ mạnh lên, mạnh nhất đạt cấp 12 khi tới Hoàng Sa vì đây là vùng biển thoáng và nóng, nhiều hơi ẩm. Nhưng khi vào tới nam vịnh Bắc bộ, ngang tỉnh Quảng Trị, chỉ trong buổi chiều 27.10, bão đã 'nhảy' từ cấp 12 lên cấp 14. Trong vòng 4 - 5 giờ, việc nhảy cấp này không mô hình đài nào có thể dự báo trước được, kể cả Mỹ và Nhật Bản. Không ai tính toán được là vào tới đó mà bão còn mạnh thêm nhiều như vậy”.
Xin thưa, việc tăng cấp 12-14 liệu có thành là vấn đề để ông có thể làm rối theo kiểu tung hỏa mù rồi kết luận là toàn cục thực sự phức tạp, ngoài khả năng dự báo của TT? Với Việt Nam trước khi có Xangsane, cấp 12 là cấp cao nhất, là báo động đỏ, là báo động cấp 1, cấp cao nhất rồi, việc nó tăng cấp lên 14 hay 16, thậm chí 20 thì cũng là báo động đỏ, báo động cấp 1, maximum rồi; việc nó tăng cấp cao hơn đâu có gì phải đáng nói! Ở dự báo của Hải quân Hoa Kỳ chúng ta thấy việc tăng cấp này không còn quan trọng nữa, vì trong sơ đồ dự báo họ chỉ phân biệt 3 cấp là ít hơn 34KNOTS; 34-63 KNOTS và trên 63 KNOTS. Trên 63 KNOTS là trên cấp 11 ở ta họ còn 5 cấp Typhoon nữa nhưng điều đó không quan trọng với thông báo bão phổ thông, họ chỉ cần trên 63KNOTS là đủ.
| Dự báo của Hải quân Hoa Kỳ từ ngày 25 đã cho thấy họ dự báo ngày 27, lúc bão sát bờ sẽ tăng cấp. Ông Tăng nói không ai dự báo được điều này là không đúng. |
Hơn nữa, ngay từ ngày 25, khi Sơn Tinh còn là bão nhiệt đới, tức dưới 63KNOTS, Hải quân Mỹ đã dự báo đến ngày 27 bão sẽ tăng cấp trên 63KNOTS (xem hình 3, trong hình dự báo đó là vòng đen chứ không phải là vòng trắng trước đó). Ông Tăng nói không ai dự báo được là nói không đúng!
Ở hình 4 này, ta thấy ngày 27 tất cả các dự báo của các trung tâm dự báo trên thế giới đều dự báo bão sẽ trên 63KNOTS. Ông Tăng nói: “Việc nhảy cấp này không mô hình đài nào có thể dự báo trước được, kể cả Mỹ và Nhật Bản” là không đúng!
Thông báo tù mù, không rõ ràng
Cả ông Tăng và sau đó là ông Bùi Văn Đức, Tổng giám đốc Trung tâm Dự báo Khí tượng hủy văn Quốc gia, đều than khó và viện dẫn rất nhiều đến những yếu tố bất ngờ mà thời tiết tác động đến đường đi và cường độ cơn bão số 8 như: “Nguyên nhân khiến bão mạnh lên đột ngột, theo lý giải của vị Giám đốc Trung tâm dự báo Khí tượng là do có rãnh gió Tây Nam trên cao 5.000 m. Ngày 26.10, khi bão đã vào sâu trong biển Đông, rãnh gió này mới xuất hiện. Cường độ của rãnh gió rất mạnh di chuyển từ phía Nam lên. Bão tiến vào gần rãnh gió Tây và bị thổi ngược lên phía Bắc”. Còn ông Bùi Văn Đức cho hay: “thời điểm này, việc dự báo hướng đi của bão trở nên rất khó khăn vì dù đã phát hiện rãnh gió Tây Nam trên cao nhưng rãnh này còn phát triển và thay đổi chứ không phải như “đoàn tàu đi theo một đường cố định”. Người làm công tác dự báo vì thế không thể dám chắc gió Tây xuất hiện thì cơn bão sẽ đi thế nào nên đã tham khảo tất cả các mô hình dự báo khác”.
Chúng tôi không hiểu mô hình nào đã được TT tham khảo nhưng hầu hết các dự báo mà chúng tôi theo dõi đều đã khá chính xác về đường đi và cường độ bão Sơn Tinh. Vấn đề chỉ không hiểu tại sao Việt Nam lại dự báo không đúng! Thực ra thì không phải là sai lắm nhưng không hiểu sao các thông báo lại rất không rõ ràng, nó tù mù khiến người nghe không hiểu bão thực sự đang tác động vào đâu.
| Không chỉ Hải quân Hoa Kỳ, hầu hết các dự báo trên thế giới đều cho biết từ ngày 27 bão sẽ mạnh trên cấp 12 (trên 63KNOTS) khi vào vịnh Bắc Bộ. |
Ông Bùi Văn Đức nói: “Khi trình bày trước Ban chỉ đạo PCLB Trung ương, chúng tôi phải phân tích tất cả khả năng, có thể xác suất rất nhỏ song vẫn phải nói để ban chỉ đạo lường trước được mọi tình huống. Nhưng trong bản tin, chúng tôi phải cân nhắc rất kỹ vì nói cho dân thì chỉ được chọn một cái, đưa ra nhiều tình huống thì bà con biết đường nào mà chọn. Dự báo chỉ là dự báo thôi” theo chúng tôi đây là điều mấu chốt nhất cần phải được thay đổi.
Trước đây, cũng vì tư duy “dự báo cho dân cần phải chính xác” nên một thời gian dài ngành dự báo Việt Nam chỉ dự báo 24 tiếng đồng hồ. Với dự báo bão thì đó là thông báo đường đi bão chứ không phải là dự báo! Sau Xangsane dự báo đã tăng lên dài hơn, có khi 2 ngày, có khi 3 ngày nhưng vẫn rất dè dặt. Theo chúng tôi, ngành dự báo đã tự đặt ra cái gánh nặng “dự báo chính xác” rồi tự gánh lấy chứ cả thế giới không ai đòi hỏi sự chính xác trong dự báo. Nhân dân chỉ cần trong khả năng có thể ngành dự báo hãy dự báo càng xa càng tốt rồi sau đó cập nhật chỉnh sửa theo từng diễn biến. Và thế giới đều làm theo kiểu này. Theo dõi dự báo của Hải quân Mỹ chúng tôi thấy họ vẫn thường phóng một dự báo 7 ngày trên những cơ sở dữ liệu ban đầu có được, sau đó hằng ngày hoặc hàng giờ điều chỉnh dự báo. Và người nghe, người dùng dự báo cũng có thói quen luôn cập nhật dự báo. Việc “nói cho dân thì chỉ được chọn một cái, đưa ra nhiều tình huống thì bà con biết đường nào mà chọn” là một tư duy sai lầm, cần sớm thay đổi. Đơn giản là vì khi chọn một cái thì chắc chắn đến 90% cái đó sẽ sai! Trước 3 ngày thì càng sai!
Bạn cũng có thể quan tâm:
-
Vai trò của cộng đồng trong bảo tồn đa dạng sinh học: bài học từ mô hình bảo tồn Cây Di sản
-
Cần nhanh chóng hoàn thiện cơ chế, luật pháp nhằm huy động sức mạnh cộng đồng bảo vệ thiên nhiên và môi trường trong kỷ nguyên vươn mình của dân tộc
-
Đóng góp của Hội Bảo vệ Thiên nhiên và Môi trường Việt Nam trong công cuộc đổi mới, phát triển đất nước
-
Vấn đề quản lý an toàn phòng cháy chữa cháy là cực kỳ cần thiết, rất cần những phương án nghiên cứu hoàn thiện việc sử dụng pin xe điện
-
Thương tiếc Giáo sư, Tiến sỹ khoa học Phạm Ngọc Đăng -Cánh chim đầu đàn, bay không biết mỏi của VACNE
-
GS.TSKH NGND Phạm Ngọc Đăng - Cây Đại thụ của ngành Tài nguyên và Môi trường Việt Nam
-
Tâm sự của GS.TSKH Đặng Huy Huỳnh nhân 15 năm Sự kiện Bảo tồn Cây Di sản Việt Nam
-
Đổi mới nội dung và phương thức hoạt động là giải pháp quan trọng nâng cao chất lượng tổ chức hội đáp ứng yêu cầu quản lý mới
-
Lãnh đạo VACNE tham gia tọa đàm về luật thủ đô năm 2024
Bài viết mới:
- Thượng Hải đối mặt nguy cơ bị chìm dần do sụt lún, nước biển dâng (25/10/2025)
- Ông Trần Đức Thắng làm Bộ trưởng Bộ Nông nghiệp và Môi trường (25/10/2025)
- Vai trò của cộng đồng trong bảo tồn đa dạng sinh học: bài học từ mô hình bảo tồn Cây Di sản (22/10/2025)
- Xã mới đầu tiên có 2 mộc thụ được vinh danh là Cây Di sản (20/10/2025)
- VACNE tổ chức tọa đàm hoàn thiện sách “Thiên tai – chủ động phòng chống và giảm nhẹ tác hại (20/10/2025)
- Lãnh đạo VACNE giảng bài tại lớp tập huấn ở tỉnh Ninh Bình (15/10/2025)
- "Tây Sơn thất hổ tướng” chính thức là dự án điện ảnh, lộ kế hoạch bấm máy “thần tốc” (15/10/2025)
- Cuốn sách ảnh Cây Di sản Việt Nam đầu tiên của địa phương ra mắt bạn đọc (30/09/2025)
- Hành đồng đẹp:Thanh niên đổi tiền cứu Tê Tê Java quý hiếm, góp phần bảo vệ đa dạng sinh học (30/09/2025)
- Cần nhanh chóng hoàn thiện cơ chế, luật pháp nhằm huy động sức mạnh cộng đồng bảo vệ thiên nhiên và môi trường trong kỷ nguyên vươn mình của dân tộc (28/09/2025)
- Vấn đề quản lý an toàn phòng cháy chữa cháy là cực kỳ cần thiết, rất cần những phương án nghiên cứu hoàn thiện việc sử dụng pin xe điện
- Đóng góp của Hội Bảo vệ Thiên nhiên và Môi trường Việt Nam trong công cuộc đổi mới, phát triển đất nước
- Cần nhanh chóng hoàn thiện cơ chế, luật pháp nhằm huy động sức mạnh cộng đồng bảo vệ thiên nhiên và môi trường trong kỷ nguyên vươn mình của dân tộc
- Vai trò của cộng đồng trong bảo tồn đa dạng sinh học: bài học từ mô hình bảo tồn Cây Di sản
- Vấn đề quản lý an toàn phòng cháy chữa cháy là cực kỳ cần thiết, rất cần những phương án nghiên cứu hoàn thiện việc sử dụng pin xe điện
- Đóng góp của Hội Bảo vệ Thiên nhiên và Môi trường Việt Nam trong công cuộc đổi mới, phát triển đất nước
- Cần nhanh chóng hoàn thiện cơ chế, luật pháp nhằm huy động sức mạnh cộng đồng bảo vệ thiên nhiên và môi trường trong kỷ nguyên vươn mình của dân tộc
- Vai trò của cộng đồng trong bảo tồn đa dạng sinh học: bài học từ mô hình bảo tồn Cây Di sản
PGS.TS Vũ Thanh Ca: Cấm xe máy Vành đai 1 Hà Nội: “Hiểu đúng về ô nhiễm, sinh kế và những ‘nút thắt’ cần tháo gỡ”
(Tin Môi Trường) - Dự kiến từ năm 2026, Hà Nội sẽ bắt đầu cấm xe máy lưu thông trên tuyến đường Vành đai 1 - một chủ trương nhằm giảm tải ùn tắc, cải thiện môi trường. Tuy nhiên, nhiều ý kiến cho rằng cần nhìn nhận kỹ hơn các yếu tố khí tượng đặc thù của Hà Nội, tác động xã hội - sinh kế và tính khả thi của hạ tầng giao thông công cộng trước khi “siết” xe máy. Trao đổi với chúng tôi, PGS.TS Vũ Thanh Ca – Giảng viên cao cấp Khoa Môi trường, Trường Đại học Tài nguyên và Môi trường Hà Nội - chia sẻ góc nhìn khoa học về nghịch nhiệt, vai trò “cứu cánh” của xe máy, rủi ro xe điện và gợi ý lộ trình phù hợp cho bài toán giao thông đô thị bền vững.
Có thể ”để dành” tín chỉ carbon để bán giá cao hơn?
(Tin Môi Trường) - Việt Nam đã thu được 1.250 tỉ đồng từ tín chỉ carbon. Với sự phát triển và yêu cầu hiện nay, tương lai chúng ta có đủ tín chỉ carbon để bù vào thâm hụt?
Cần làm rõ chức năng, nhiệm vụ, mối quan hệ của Mặt trận Tổ quốc Việt Nam và các đoàn thể nhân dân
(Tin Môi Trường) - Ngày 20/5/2025, Trung ương Hội Nông dân Việt Nam tổ chức Hội thảo góp ý Dự thảo Nghị quyết của Quốc hội về sửa đổi, bổ sung một số điều của Hiến pháp năm 2013. Tiến sĩ- Nhà văn Trần Văn Miều, Phó chủ tịch Hội Bảo vệ TN&MT Việt Nam đã có bài phát biểu, đóng góp ý kiến. Xin giới thiệu toàn văn bài phát biểu.

Trợ giúp |
Site map |



.jpg)
.jpg)
.jpg)
.jpg)



























