Khí hậu
-
(20:11:50 PM 13/09/2018)(Tin Môi Trường) - Tại Thụy Sĩ, tuyết đang dần biến mất và điều này có thể có liên quan đến hiện tượng ấm lên toàn cầu. Đây là kết luận được trường Đại học Geneva công bố ngày 12/9 trong một nghiên cứu sử dụng một công cụ mới- the Swiss Data Cube (tạm gọi là Dữ liệu đa chiều về Thụy Sĩ).
Từ khóa liên quan: Biến đổi khí hậu, Tuyết, đang, biến mất dần, khỏi, Thụy Sĩ , có thể, liên quan , hiện tượng , ấm lên, toàn cầu -
(21:57:05 PM 12/09/2018)(Tin Môi Trường) - Hai cơn bão khi gặp nhau có khả năng sẽ hòa làm một, trở thành một siêu bão. Đây được gọi là hiệu ứng Fujiwhara.
Từ khóa liên quan: Bão số 5, Tin bão số 5, Bão MangKhut, Siêu bão MangKhut, Cơn bão số 5, Bão mới nhất, dự báo thời tiết, thời tiết, siêu bão, Tin bão, tin bão mới nhất, Tin bão khẩn cấp -
(14:50:23 PM 12/09/2018)(Tin Môi Trường) - Trước tình hình phức tạp của bão số 5, Tỉnh ủy Hà Tĩnh đã ban hành công điện số 1174 gửi Ban Cán sự Đảng UBND tỉnh, các cơ quan, đơn vị nhằm chủ động ứng phó trước ảnh hưởng của cơn bão này.
Từ khóa liên quan: Hà Tĩnh, ban hành, công điện, ứng phó, bão số 5 -
(12:32:35 PM 12/09/2018)(Tin Môi Trường) - Trong bối cảnh toàn tỉnh Ninh Thuận đang ra sức tập trung cho công tác phòng chống hạn hán thiếu nước. Vào buổi chiều ngày 11 tháng 9 năm 2018, do ảnh hưởng của rìa Nam rãnh áp thấp có trục đi qua khu vực Trung Bộ nối với cơn Bão số 5 kết hợp với gió mùa Tây Nam.
Từ khóa liên quan: Ninh Thuận, xuất hiện, mưa lớn -
(23:38:37 PM 11/09/2018)(Tin Môi Trường) - Tiếp sau bang Virginia, Maryland, South Carolina, chính quyền thành phố Washington đã ban bố tình trạng khẩn cấp nhằm đối phó với bão Florence, đang tăng cường độ và được dự báo sẽ là một trong những cơn bão mạnh nhất trong năm nay.
Từ khóa liên quan: Nhiều bang, của, Mỹ, ban bố, tình trạn, g khẩn cấp, do, siêu bão Florence -
(23:12:09 PM 11/09/2018)(Tin Môi Trường) - Hầu hết các quốc gia Liên minh châu Âu (EU) đều không đáp ứng các tiêu chuẩn của liên minh về chất lượng không khí và hậu quả là mỗi ngày lại có hơn 1.000 người dân châu Âu phải chết sớm, cao gấp 10 lần số người thiệt mạng do tai nạn giao thông.
Từ khóa liên quan: Bảo vệ môi trường, Đa số, các nước, EU, không đạt, mục tiêu , chất lượng, không khí -
(17:10:50 PM 11/09/2018)(Tin Môi Trường) - Các đảo quốc như Fiji và Maldives đang gần như trong tình trạng "không thể cứu vãn" do tình trạng nước biển dâng. Đây là cảnh báo của đại diện Liên minh các đảo quốc nhỏ (AOSIS) đưa ra ngày 7/9 bên lề một hội nghị về khí hậu đang diễn ra ở Bangkok (Thái Lan).
Từ khóa liên quan: Biến đổi khí hậu, Thời gian, không còn nhiều, để cứu, các, đảo quốc nhỏ -
(17:00:01 PM 11/09/2018)(Tin Môi Trường) - Australia sẽ không từ bỏ Hiệp định Paris về chống biến đổi khí hậu và sẽ đạt mục tiêu cắt giảm lượng khí phát thải gây hiệu ứng nhà kính. Đây là tuyên bố được Thủ tướng Australia Scott Morrison đưa ra ngày 11/9 khi phát biểu trên đài phát thanh Macquarie Media.
Từ khóa liên quan: Bảo vệ môi trường, Australia, cam kết, đạt mục tiêu, cắt giảm, lượng khí thải -
(16:52:47 PM 11/09/2018)(Tin Môi Trường) - Tổ chức Khí tượng học thế giới (WMO) thuộc Liên hợp quốc cảnh báo nguy cơ xảy ra El Nino, hiện tượng có thể gây ra thời tiết cực đoan, vào cuối năm 2018 vốn đã là một năm nắng nóng.
Từ khóa liên quan: Biến đổi khí hậu, Cảnh báo, nguy cơ, xuất hiện, El Nino, cuối , năm nay -
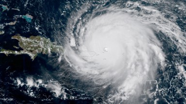
(16:29:12 PM 11/09/2018)(Tin Môi Trường) - Trong khi Biển Đông đang có cơn bão số 5 (tên quốc tế là Barijat) hoạt động thì chiều nay (11/9), cơn bão Mangkhut trên vùng biển Tây Bắc Thái Bình Dương đã đạt cấp siêu bão với sức gió mạnh nhất vùng gần tâm bão mạnh cấp 16. Siêu bão này sẽ di chuyển hướng về khu vực Bắc Biển Đông trong khoảng 4 ngày tới.
Từ khóa liên quan: Siêu bão, Mangkhut, đang , đuổi theo, bão số 5 -
(12:50:35 PM 11/09/2018)(Tin Môi Trường) - Sáng nay (11/9), Biển Đông đón cơn bão số 5, tên quốc tế là Barijat. Cùng lúc, bão Mangkhut ngoài khơi Philippines đang mạnh lên và sắp đạt tới cấp siêu bão.
Từ khóa liên quan: Biển Đông, đón, cơn bão, số 5, Bắc Bộ, mưa lớn -
(18:54:38 PM 10/09/2018)(Tin Môi Trường) - Theo Trung tâm Dự báo Khí tượng Thủy văn Quốc gia: Trong tuần từ 10 - 16/9, nhiều khu vực trên cả nước sẽ có mưa vừa, mưa to; riêng ngày 14/9, Bắc Bộ có nơi mưa rất to và rải rác có dông.
Từ khóa liên quan: Bắc Bộ, khả năng, có mưa, rất to , dông, vào ngày, 14/9 -
(10:57:31 AM 09/09/2018)(Tin Môi Trường) - Ngày 8/9, hàng chục nghìn người bảo vệ môi trường tại 95 quốc gia trên thế giới đã xuống đường theo lời kêu gọi của phong trào "Vùng lên vì khí hậu" (Rise for climate) nhằm yêu cầu chính phủ các nước thúc đẩy hành động ứng phó với tình trạng ấm lên toàn cầu.
Từ khóa liên quan: Biến đổi khí hậu, Người dân, trên, khắp thế giới, hưởng ứng, phong trào , Vùng lên vì khí hậu -
(12:49:46 PM 06/09/2018)(Tin Môi Trường) - Ngày 6/9, Australia, New Zealand và các quốc đảo ở Thái Bình Dương đã ký tuyên bố chung nhấn mạnh tình trạng biến đổi khí hậu hiện nay là “mối đe dọa đơn lẻ lớn nhất” đối với người dân ở khu vực Thái Bình Dương và kêu gọi Mỹ trở lại Hiệp định Paris về chống biến đổi khí hậu.
Từ khóa liên quan: Biến đổi khí hậu, Các quốc đảo , Thái Bình Dương, kêu gọi, tăng cường , chống, biến đổi khí hậu -
(13:00:44 PM 05/09/2018)(Tin Môi Trường) - Núi lửa Veniaminof, một trong những ngọn núi lửa lớn và hoạt động mạnh nhất ở bang Alaska, Mỹ, đã thức giấc trở lại, buộc các nhà khoa học phải đưa ra cảnh báo đối với ngành hàng không.
Từ khóa liên quan: Mỹ, Núi lửa, lớn nhất, bang Alaska , hoạt động, trở lại -
(23:07:24 PM 04/09/2018)(Tin Môi Trường) - Kênh truyền hình NHK của Nhật Bản ngày 4/9 đưa tin sau khi đổ bộ vào khu vực miền Tây nước này, bão Jebi đã gây mưa lớn và khiến mực nước tại một số nơi dâng lên mức cao nhất gần 60 năm qua, kể từ năm 1961. Đường băng tại sân bay quốc tế Kansai ở Osaka đã bị ngập lụt.
Từ khóa liên quan: Bão Jebi, hoành hành, Nhật Bản, nước, dâng cao , gần, 60, năm -
(15:32:47 PM 04/09/2018)
(Tin Môi Trường) - Giới chức Nhật Bản ngày 4/9 đã ban bố lệnh sơ tán gần 300.000 người dân và hủy hàng trăm chuyến bay trong bối cảnh cơn bão Jebi đổ vào miền Tây nước này gây mưa to và gió lớn.
Từ khóa liên quan: Bão mạnh, càn quét, Nhật Bản , Mỹ -
(11:21:48 AM 04/09/2018)(Tin Môi Trường) - Giới chức và người dân Nhật Bản đang phải nỗ lực đối phó với cơn bão Jebi, có thể trở thành cơn bão mạnh nhất đổ vào nước này trong 25 năm qua.
Từ khóa liên quan: Nhật Bản, đối phó, với, cơn bão, có thể, mạnh nhất, trong, 25, năm qua -
(01:39:35 AM 04/09/2018)(Tin Môi Trường) - Các phương thức truyền thống nhằm cải thiện chất lượng đất ở các nông trại hay bãi chăn thả gia súc có thể hấp thụ một lượng lớn khí carbon trong bầu khí quyển và làm chậm quá trình biến đổi khí hậu. Đây là kết luận được các nhà nghiên cứu thuộc trường Đại học California (UC) ở thành phố Berkeley (Mỹ) đưa ra trên tạp chí chuyên ngành Science Advances số ra ngày 29/8.
Từ khóa liên quan: Biến đổi khí hậu, Quản lý tốt, chất lượng, đất, góp phần, giảm nhiệt độ, Trái Đất -
(01:28:12 AM 04/09/2018)(Tin Môi Trường) - Vào khoảng 11h trưa ngày 3/9, đập chứa nước Giao Kèo với diện tích khoảng 3ha, thuộc tổ 3, ấp 4, xã Tóc Tiên, thị xã Phú Mỹ, tỉnh Bà Rịa-Vũng Tàu bị vỡ thân đập khiến nhiều hộ dân bị ảnh hưởng nặng nề.
Từ khóa liên quan: Bà Rịa-Vũng Tàu, Vỡ thân, đập chứa nước, khiến, nhiều hộ dân, thị xã Phú Mỹ , ảnh hưởng -
(12:58:17 PM 03/09/2018)(Tin Môi Trường) - Ban chỉ đạo TƯ về phòng chống thiên tai gửi công điện tới công ty Thuỷ điện Sơn La, Hòa Bình về việc mở cửa xả đáy lúc 13h chiều nay.
Từ khóa liên quan: Thủy điện, Hòa Bình, Sơn La, đồng loạt, xả lũ, chiều nay -
(16:32:13 PM 31/08/2018)(Tin Môi Trường) - Ảnh hưởng của rãnh áp thấp có trục qua Bắc Bộ hoạt động mạnh, địa bàn huyện Mai Sơn, tỉnh Sơn La, những ngày qua xảy ra lũ quét, sạt lở nhiều nơi.
Từ khóa liên quan: Lũ quét, tấn công, huyện, Mai Sơn -
(10:54:34 AM 31/08/2018)(Tin Môi Trường) - Do ảnh hưởng của mưa lũ, trường Tiểu học Trung Sơn, huyện Quan Hóa (Thanh Hóa) bị sạt lở vùi lấp, làm sập nhiều phòng học khiến hơn 260 học sinh của trường không còn chỗ học tập trong khi ngày khai giảng năm học mới cận kề.
Từ khóa liên quan: Thanh Hóa, Trường bị, mưa lũ , xóa sổ, hơn. 260, học sinh, bơ vơ, trước ngày, khai giảng
Chủ động ứng phó dông lốc, sét và mưa đá trong thời kỳ chuyển mùa
(Tin Môi Trường) - Trong thời gian vừa qua, dông lốc, sét, mưa đá đã xảy ra trên diện rộng gây thiệt hại về người và tài sản, nhất là vào ngày 29-30/3. Theo bản tin dự báo, cảnh báo khí hậu thời hạn mùa của Trung tâm Dự báo khí tượng thủy văn Quốc gia - Cục Khí tượng Thủy văn, trong thời gian tới trên phạm vi cả nước có khả năng xảy ra các hiện tượng thời tiết nguy hiểm dông, lốc, sét, mưa đá và gió giật mạnh, đặc biệt trong thời kỳ chuyển mùa, tập trung vào các tháng 4-5/2026.
Các sông ở Huế, Đà Nẵng lên báo động ba, nhiều nơi tái ngập
(Tin Môi Trường) - Sau hai ngày ngớt mưa, nước lũ rút, từ tối qua mực nước trên các sông Bồ, Hương, Vu Gia - Thu Bồn lại dâng cao, khiến nhiều khu dân cư ở TP Huế và Đà Nẵng tái ngập.
Khôi phục tầng ozone, giảm thiểu biến đổi khí hậu
(Tin Môi Trường) - Ngày Quốc tế bảo vệ tầng ozone được tổ chức vào ngày 16/9 hằng năm nhằm tăng cường sự hiểu biết Nghị định thư Montreal về các chất làm suy giảm tầng ozone, nâng cao nhận thức, truyền tải các thông điệp bảo vệ tầng ozone tới cộng đồng.
Dự báo chỉ số cực đại bức xạ tia cực tím và tiềm năng nhiệt ngày 28/6/2023
(Tin Môi Trường) - Theo Trung tâm Dự báo khí tượng thủy văn quốc gia, ngày 28/6/2023, hầu hết các tỉnh thành trên cả nước đều có chỉ số UV ở mức nguy cơ gây hại cao đến rất cao (6.6 - 9.7), riêng thủ đô Hà Nội và Cần Thơ ở ngưỡng cao (6.2 - 7.4).

Trợ giúp |
Site map |






























